
Could the closure of the Strait of Hormuz help save us from Hellish climate change? At least 20 percent of the world’s oil and gas has been shut down. What does it mean? The awful bright side of this crazy war – or …
LEARN MORE
Could the closure of the Strait of Hormuz help save us from Hellish climate change? At least 20 percent of the world’s oil and gas has been shut down. What does it mean? The awful bright side of this crazy war – or …
LEARN MOREExperts warn about the climate cost of modern war. Dr. Patrick Bigger, Research Director at Climate and Community Institute. Neta Crawford, Brown University, author of “The Pentagon, Climate Change, and War: Charting the Rise and Fall of U.S. Military Emissions.” Journalist Mark Hertsgaard …

No rules now. Eat your smog, enjoy disasters. Trump killing American climate rules and science. Voices outside the bubble of U.S. corporate media: Germany, Canada, UK, France – and Democracy Now. This includes mini-interviews with Bob Ward from Grantham Institute and science historian …
LEARN MORE
Warning: Speed Bump. The deep freeze holding thousands-year carbon is thawing faster. The Arctic tosses gigatons of CO2 and methane into the atmosphere. The newest permafrost science with Christina Schädel, Senior Research Scientist at the Woodwell Climate Research Center in Massachusetts. Strangely, the …
LEARN MORE
What does Trump’s push for more oil, gas and coal mean for our climate future? Alexis Normand, CEO of data firm Greenly adds it up: Texas, Venezuela, Greenland …Canada? An in-depth review. Plus: fossil decline has tipping points and economic land-mines. “Fossil energy …
LEARN MORE
In 15 years, Earth will lose thousands of glaciers every year. New science on “Peak glacier extinction” – Swiss glaciologist Lander Van Tricht. Australia over 45 degrees C, 113 F. – and burning again. “Gazing into the Flames” – wildfire expert Hamish Clarke. …
LEARN MORE
“Climate change has already made the United States poorer” Arizona Economics Professor Derek Lemoine reports. How could carbon from our tailpipes make the sea acidic? Exactly how does that work? Tulane Chemist Bruce Gibb explains with a great 15 minute mini-lecture on Radio …
LEARN MORE
With record extreme cold and heat – in December! – leading scientists finally admit: “The world lost the climate gamble.” What comes after failure? Hear the latest in a full-length talk “Living Beyond Limits” by Professor James Dyke from the Global Systems Institute …
LEARN MORE
Music has a hole in it. The fires, killer heat, Arctic blasts they don’t make it. Global warming is not for popular music? Where are voices of ordinary folks suffering through the never-before-seen, calls for people power? Here we go: 21 songs for …
LEARN MORE
Are we ending this civilization? Climate warnings from 8 top scientists in the UK Emergency Briefing. First two new interviews: Prof. Brian Soden: phenomenal heat burst of 2023/24 NOT caused by change in ship pollution regs. Harvard’s Dr. Cheng He: “Escalated Heatwave Mortality …
LEARN MORE
Expect weather whiplash – drought to floods in a predictable see-saw of disasters. Dr. Malte Stuecker’s team finds El Nino and La Nina get stronger – changing the North Atlantic and Indian Oceans. Over 50,000 Europeans died due to excess heat in 2023 …
LEARN MORE
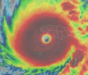
In the world of storms, there is before and after Melissa. Jamaica, insurance, hard times and lucky breaks this week on Radio Ecoshock. Hurricane Melissa with famous meteorologist John Morales in Miami and hurricane blogger Dr. Jeff Masters. Plus a short clip from …
LEARN MORE