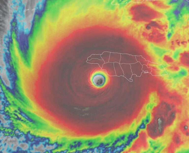
In the world of storms, there is before and after Melissa. Jamaica, insurance, hard times and lucky breaks this week on Radio Ecoshock. Hurricane Melissa with famous meteorologist John Morales in Miami and hurricane blogger Dr. Jeff Masters. Plus a short clip from … Continue reading Thousand Year Storms
Copy and paste this URL into your WordPress site to embed
Copy and paste this code into your site to embed